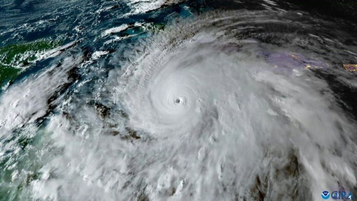
New York, 28 ott. (askanews) – L’uragano Melissa, tempesta di categoria 5, la più potente della stagione atlantica 2025, si sta avvicinando alla Giamaica, che sarà sferzata da “venti catastrofici, inondazioni improvvise e mareggiate”, ha avvertito il National Hurricane Center.
Con venti che raggiungeranno i 280 km/h, Melissa è destinato a diventare il primo uragano di categoria 5 nella storia della Giamaica. Secondo il National Hurricane Center, si tratta di un
evento meteorologico “storico”, il più potente a colpire l’isola dai tempi dell’uragano Gilbert nel 1988. Si prevedono precipitazioni fino a 102 cm in alcune zone, con rischio di frane e inondazioni improvvise “catastrofiche”. Le autorità giamaicane hanno dichiarato l’allerta massima e
predisposto evacuazioni in diverse aree. Alcuni residenti si trovano nei rifugi anti-uragano già da domenica. L’approdo sull’isola è previsto tra Black River e Treasure Beach, sulla costa meridionale, dove l’altezza delle onde, scatenate dalla tempesta potrebbe raggiungere tra i 2,7 e i 4,1 metri sopra il livello del suolo.
Secondo le autorità, almeno sette decessi correlati all’uragano sono stati segnalati finora nei Caraibi: tre in Giamaica, tre ad Haiti e uno nella Repubblica Dominicana. La costa nord-occidentale della Giamaica, nei pressi di Montego Bay, potrebbe essere interessata da onde alte tra 1 e 2 metri, mentre sulla costa sud-orientale di Cuba si prevedono picchi fino a 3,3 metri. Anche sulle Bahamas e sulle Isole Turks e Caicos sono attese da condizioni meteorologiche avverse, con onde di tempesta fino a 1,8 metri.

